- Главная
- Администрация
- Структура
- Управление имущественных отношений
- Информация
- Отдел землепользования
- Информация о земельных участках
Информация о предоставляемых земельных участках
-
Информация о предоставлении земельных участков
ИНФОРМАЦИЯ
о праве граждан подавать заявление о намерении участвовать в аукционе
на право заключения договора аренды земельного участка для индивидуального жилищного строительства
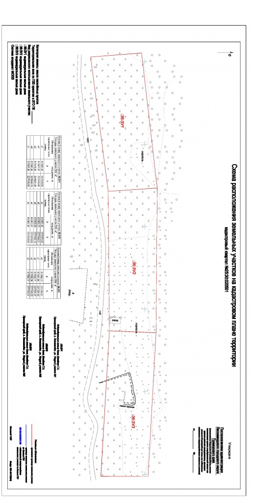
Администрация Лесозаводского городского округа информирует граждан о возможности предоставления земельного участка для индивидуального жилищного строительства и о приеме заявлений о намерении участвовать в аукционе на право заключения договора аренды земельного участка, расположенного по адресу: Приморский край, г. Лесозаводск, ул. Уссури-2, участок № 1» с целью его предоставления для индивидуального жилищного строительства, площадью 2500 кв. м, в соответствии со схемой расположения земельного участка на кадастровом плане территории, с которой можно ознакомится по адресу: г. Лесозаводск, ул. Будника, 119, каб. 509, по понедельникам с 09.00 до 13.00 и с 14.00 до 17.00, или на сайте Лесозаводского городского округа по адресу: mo-lgo.ru.
Заинтересованные в предоставлении вышеназванного земельного участка граждане в течение 30 дней с даты опубликования настоящего извещения вправе подать заявления о намерении участвовать в аукционе:
а) лично или по почте, по адресу: г. Лесозаводск, ул. Будника, 119;
б) через Центр оказания государственных или муниципальных услуг, расположенного по адресу: г. Лесозаводск, ул. Литовская, д. 5.
Дата окончания приема заявлений о намерении участвовать в аукционе на право заключения договора аренды земельного участка для индивидуального жилищного строительства 26 февраля 2018 года.
ИНФОРМАЦИЯ
о праве граждан подавать заявление о намерении участвовать в аукционе
на право заключения договора аренды земельного участка для индивидуального жилищного строительства
Администрация Лесозаводского городского округа информирует граждан о возможности предоставления земельного участка для индивидуального жилищного строительства и о приеме заявлений о намерении участвовать в аукционе на право заключения договора аренды земельного участка, расположенного по адресу: Приморский край, г. Лесозаводск, ул. Уссури-2, участок № 2» с целью его предоставления для индивидуального жилищного строительства, площадью 2500 кв. м, в соответствии со схемой расположения земельного участка на кадастровом плане территории, с которой можно ознакомится по адресу: г. Лесозаводск, ул. Будника, 119, каб. 509, по понедельникам с 09.00 до 13.00 и с 14.00 до 17.00, или на сайте Лесозаводского городского округа по адресу: mo-lgo.ru.
Заинтересованные в предоставлении вышеназванного земельного участка граждане в течение 30 дней с даты опубликования настоящего извещения вправе подать заявления о намерении участвовать в аукционе:
а) лично или по почте, по адресу: г. Лесозаводск, ул. Будника, 119;
б) через Центр оказания государственных или муниципальных услуг, расположенного по адресу: г. Лесозаводск, ул. Литовская, д. 5.
Дата окончания приема заявлений о намерении участвовать в аукционе на право заключения договора аренды земельного участка для индивидуального жилищного строительства 26 февраля 2018 года.
ИНФОРМАЦИЯ
о праве граждан подавать заявление о намерении участвовать в аукционе
на право заключения договора аренды земельного участка для индивидуального жилищного строительства
Администрация Лесозаводского городского округа информирует граждан о возможности предоставления земельного участка для индивидуального жилищного строительства и о приеме заявлений о намерении участвовать в аукционе на право заключения договора аренды земельного участка, расположенного по адресу: Приморский край, г. Лесозаводск, ул. Уссури-2, участок № 3» с целью его предоставления для индивидуального жилищного строительства, площадью 2500 кв. м, в соответствии со схемой расположения земельного участка на кадастровом плане территории, с которой можно ознакомится по адресу: г. Лесозаводск, ул. Будника, 119, каб. 509, по понедельникам с 09.00 до 13.00 и с 14.00 до 17.00, или на сайте Лесозаводского городского округа по адресу: mo-lgo.ru.
Заинтересованные в предоставлении вышеназванного земельного участка граждане в течение 30 дней с даты опубликования настоящего извещения вправе подать заявления о намерении участвовать в аукционе:
а) лично или по почте, по адресу: г. Лесозаводск, ул. Будника, 119;
б) через Центр оказания государственных или муниципальных услуг, расположенного по адресу: г. Лесозаводск, ул. Литовская, д. 5.
Дата окончания приема заявлений о намерении участвовать в аукционе на право заключения договора аренды земельного участка для индивидуального жилищного строительства 26 февраля 2018 года.
